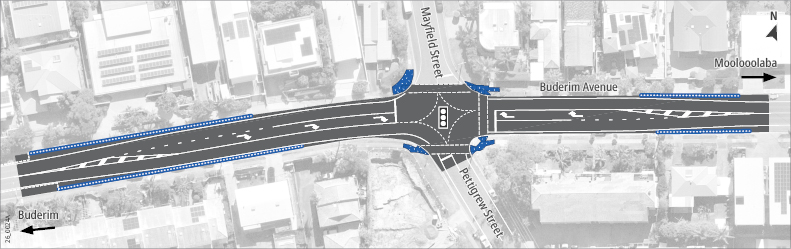
Buderim Avenue, Mayfield Street and Pettigrew Street intersection

These proposed features are part of the early design concept and may be refined as community information is received.

Proposed design features

Key features being considered include:

  • New traffic signals to help manage turning movements and improve safety for all road users.
  • Signalised pedestrian crossings on three legs of the intersection, providing safer and more reliable access to local pathways.
  • New right‑turn lanes on Buderim Avenue, improving traffic flow and reducing the likelihood of rear‑end crashes.
  • Updated street lighting and informal parking adjustments to support improved visibility and safety.